VETERITALIA S.r.l.s.
Via Flavio Stilicone n°158 - CAP 00135 Roma info@veteritalia.it - veteritalia@legalmail.it
P.Iva 16915961003 - C.F. 16915961003

06 69283925
352 0963663


Chi siamo
Veteritalia nasce dall'idea di medici veterinari che hanno messo al centro della loro vita l'equilibrio con la natura e il benessere degli animali. In un ambiente accogliente e dotato di macchinari all' avanguardia Veteritalia offre cure con attenzione, rispetto e solidarietà per tutti gli animali.
Per noi ogni paziente è unico, e merita ascolto, competenza e dedizione.


SERVIZI
Visite cliniche: Il suo obiettivo è valutare lo stato di salute generale del animale, diagnosticare eventuali malattie e fornire le cure necessarie. Le prive visite dei cuccioli permettono anche de capire al propietario il percorso di salute e prevenzione del animale.

Chirurgia generale: Il servizio di chirurgia generale copre una vasta gamma di interventi, dalla chirurgia addominale a procedure più semplici come la castrazione, l'asportazione di noduli, biopsie... Questi interventi sono fondamentali per trattare una ampia gamma di patologie e per la medicina preventiva, e vengono eseguiti in un ambiente sterile, con l'uso di anestesia e un attento monitoraggio del paziente.
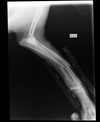
Radiologia e Radioscopia
Esame radiografico: La radiologia veterinaria usa strumenti come i raggi X, che servono a:
-Individuare corpi estranei ingeriti.
-Valutare la salute degli organi interni (cuore, polmoni, fegato, ecc.).
-Controllare la gravidanza e il numero dei cuccioli.
È uno strumento essenziale per una diagnosi precisa e per pianificare la cura migliore.
La radioscopia è una tecnica radiologica difficile di trovare nelle cliniche convenzionale, che permette di vedere le immagini del corpo dell'animale in movimento e in tempo reale.
È come un video a raggi X e serve a:
-Osservare il funzionamento di organi come il cuore o lo stomaco.
-Guidare il veterinario durante procedure complesse.
-Diagnosticare problemi che si manifestano solo con il movimento.


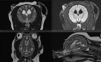
Ecografia addominale e toracica:
L'ecografia addominale e toracica usa gli ultrasuoni per creare immagini dettagliate degli organi interni, senza usare radiazioni.
Ecografia addominale: Per esaminare fegato, reni, stomaco e altri organi addominali. Serve a trovare tumori, calcoli, infiammazioni o corpi estranei e a confermare la gravidanza.
Ecografia toracica: Per valutare i polmoni e lo spazio attorno a essi, cercando la presenza di liquido o masse.

Esami di laboratorio:
Gli esami di laboratorio servono per ottenere informazioni dettagliate sulla salute di un animale, non visibili durante una semplice visita.
Diagnostica: Aiutano a identificare infezioni, problemi nei organi, malattie metaboliche e parassiti.
Prevenzione: Consentono di monitorare lo stato di salute generale e di individuare problemi precocemente.
Controllo: Verificano l'efficacia delle terapie e la sicurezza di un animale prima di un intervento chirurgico o per valutare cambiamenti nella terapie.


Dermatologia:
La cute degli animali è un ‘termometro’ della sua salute.
Problemi come il prurito, parasiti, malattie metaboliche, alopecie o intolleranze alimentare che provocano disturbi cutanei vengono esaminati in questa specialità.
Visite specialistiche:
Le visite specialistiche sono necessarie quando serve un approfondimento diagnostico in qualsiasi caso clinico complesso. In queste caso è fissato un appuntamento con un medico veterinario che si ocupa soltanto di quella branca.
Le principali specialità sono:
Ortopedia
Cardiologia
Oncologia
Neurologia
Gastroenterologia
Nutrizione
Oftalmologia
Etologia
Chirurgia complessa

Piano di prevenzione CUCCIOLO
Il piano di prevenzione del cucciolo (tanto cane come gatto) è uno strumento essenziale per garantire la salute del piccolo della casa.
Queste piano prevede:
Microchip: obbligo di legge.
Vaccinazioni: Il piano include un calendario vaccinale personalizzato e completo. I cuccioli, infatti, sono molto vulnerabili a malattie virali e batteriche come parvovirosi, cimurro, epatite, leptospirosi e tosse dei canili. Le vaccinazioni mirate rafforzano il loro sistema immunitario e li proteggono da queste patologie.

Test e diagnosi precoci: Il piano di prevenzione include due esami delle feci per la ricerca di vermi. Snap test per la ricerca delle Parvovirosi, Coronavirus e Giardia nel caso del cane e Leucemia e immunodeficienza nel caso del gatto.
Sverminazione: I cuccioli hanno spesso parassiti intestinali (vermi), che possono causare problemi di crescita, anemia e disturbi digestivi e alcuni possono anche affettare pure al uomo. Il piano di prevenzione prevede trattamenti regolari per eliminare questi parassiti.

Prevenzione di parassiti esterni: Si occupa anche della prevenzione di pulci, zecche e altri ectoparassiti, che non solo sono fastidiosi, ma possono anche trasmettere malattie gravi come la filariosi o la ehrlichiosi.
Visita di controllo della crescita: Durante queste visite, il veterinario valuta la crescita del cucciolo, il suo peso, lo stato di dentizione e la sua condizione fisica generale. Questo aiuta a individuare precocemente eventuali anomalie ortopediche o di altro tipo.

Piano di prevenzione SENIOR
Il piano di prevenzione veterinario per il cane o gatto anziano è un servizio cruciale che si adatta alle esigenze specifiche degli animali che entrano nella "terza età" (solitamente a partire dai 7-10 anni, a seconda della razza).
A differenza dei cuccioli, l'obiettivo principale non è più la crescita e lo sviluppo, ma la diagnosi precoce e la gestione delle malattie degenerative e croniche legate all'invecchiamento.
Il piano prevede:
Visita geriatrica: Dove si svolge un controllo approfondito dello stato di salute dell' animale sotto vari aspetti: stato generale, cute, visione, ricerca di masse, condizione corporale, ricerca del dolore ortopedico, etc..
Esami del sangue e urianalisi: Un "profilo geriatrico" che include emocromo, profilo biochimico per valutare la funzionalità di organi vitali come reni e fegato e Tests specifici come ad esempio il test della tiroide o altri esami ormonali, a seconda della razza e dei sintomi.
Controllo odontoiatrico: Molti cani e gatti anziani soffrono di problemi dentali che possono influenzare la loro salute generale e creando anche danni nel cuore.
Ecografia addominale e cardiaca: Serve a controllare gli organi interni. Permette di scoprire se ci sono patologie nascoste, tumori, etc…
Piano di prevenzione VACANZA
Si parte! ma con loro.
Queste piano è importante per tre motivi principali: legalità, salute e sicurezza.
Legalità: Molti Paesi, specialmente all'interno dell'Unione Europea, hanno leggi molto severe sull'ingresso degli animali. Senza i documenti giusti (come il Passaporto Europeo o i certificati di buona salute) e le vaccinazioni necessarie (in particolare quella contro la rabbia).

Salute del cane: Il veterinario valuta se il tuo cane è in condizioni fisiche idonee per affrontare il viaggio, che può essere stressante. Inoltre, fornisce le protezioni necessarie contro parassiti o malattie (come la Leishmaniosi o Filariosi, diffusa in alcune zone) che non sono presenti dove vivi ma che potresti trovare a destinazione.
Sicurezza e serenità: Avere la certezza che tutti i documenti sono in ordine e che la salute del tuo cane è protetta ti permette di viaggiare in tranquillità, sapendo di aver fatto il massimo per evitare problemi e imprevisti.
CONTATTI
Sede: Via Flavio Stilicone 150, CAP 00175, Roma


e-mail: info@veteritalia.it
Telefono: 0669283925
3520963663
