VETERITALIA S.r.l.s.
Via Flavio Stilicone n°158 - CAP 00135 Roma info@veteritalia.it - veteritalia@legalmail.it
P.Iva 16915961003 - C.F. 16915961003
06 69283925
352 0963663

Al servizio della salute

Visite cliniche: Il suo obiettivo è valutare lo stato di salute generale del animale, diagnosticare eventuali malattie e fornire le cure necessarie. Le prive visite dei cuccioli permettono anche de capire al propietario il percorso di salute e prevenzione del animale.
Chirurgia generale: Il servizio di chirurgia generale copre una vasta gamma di interventi, dalla chirurgia addominale a procedure più semplici come la castrazione, l'asportazione di noduli, biopsie... Questi interventi sono fondamentali per trattare una ampia gamma di patologie e per la medicina preventiva, e vengono eseguiti in un ambiente sterile, con l'uso di anestesia e un attento monitoraggio del paziente.

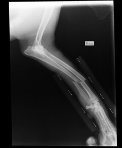
Radiologia e Radioscopia
Esame radiografico: La radiologia veterinaria usa strumenti come i raggi X, che servono a:
-Individuare corpi estranei ingeriti.
-Valutare la salute degli organi interni (cuore, polmoni, fegato, ecc.).
-Controllare la gravidanza e il numero dei cuccioli.
È uno strumento essenziale per una diagnosi precisa e per pianificare la cura migliore.
La radioscopia è una tecnica radiologica difficile di trovare nelle cliniche convenzionale, che permette di vedere le immagini del corpo dell'animale in movimento e in tempo reale.
È come un video a raggi X e serve a:
-Osservare il funzionamento di organi come il cuore o lo stomaco.
-Guidare il veterinario durante procedure complesse.
-Diagnosticare problemi che si manifestano solo con il movimento.

Ecografia addominale e toracica:
L'ecografia addominale e toracica usa gli ultrasuoni per creare immagini dettagliate degli organi interni, senza usare radiazioni.
Ecografia addominale: Per esaminare fegato, reni, stomaco e altri organi addominali. Serve a trovare tumori, calcoli, infiammazioni o corpi estranei e a confermare la gravidanza.
Ecografia toracica: Per valutare i polmoni e lo spazio attorno a essi, cercando la presenza di liquido o masse.

Esami di laboratorio:
Gli esami di laboratorio servono per ottenere informazioni dettagliate sulla salute di un animale, non visibili durante una semplice visita.
Diagnostica: Aiutano a identificare infezioni, problemi nei organi, malattie metaboliche e parassiti.
Prevenzione: Consentono di monitorare lo stato di salute generale e di individuare problemi precocemente.
Controllo: Verificano l'efficacia delle terapie e la sicurezza di un animale prima di un intervento chirurgico o per valutare cambiamenti nella terapie.


Dermatologia:
La cute degli animali è un ‘termometro’ della sua salute.
Problemi come il prurito, parasiti, malattie metaboliche, alopecie o intolleranze alimentare che provocano disturbi cutanei vengono esaminati in questa specialità.
Visite specialistiche:
Le visite specialistiche sono necessarie quando serve un approfondimento diagnostico in qualsiasi caso clinico complesso. In queste caso è fissato un appuntamento con un medico veterinario che si ocupa soltanto di quella branca.
Le principali specialità sono:
Ortopedia
Cardiologia
Oncologia
Neurologia
Gastroenterologia
Nutrizione
Oftalmologia
Etologia
Chirurgia complessa

